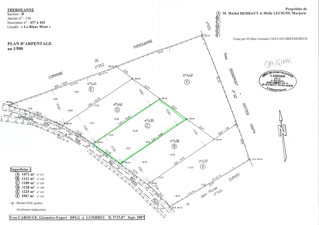
THÉROUANNE , Rue Blanc Mont

Rue du Blanc Mont , 1 100 M2 / 21 mt façade

0  Dispo
1  Option
0  Vendu

Parcelle bornée - Libre de constructeur

Ce terrain rue des Blancs Monts est vendu borné , non viabilisé .

Tarifs et Disponibilités

0  Dispo
1  Option
0  Vendu
Lot
Surface
façade
prix
C
1 109
21m
39 800

Vous avez une question , vous souhaitez une information ?

Contactez-nous
06 26 47 80 68

    * Champs obligatoires